Atrakcyjna działka budowlana pod Warszawą 30km. od PKiN
Małocice gm. Czosnów Pokaż na mapie ›
Odświeżone: Czwartek, 05 Luty, 2026 23:47
350 000 zł
334 zł/m2
Szczegóły ogłoszenia
- Kategoria: Działki i grunty / Sprzedaż
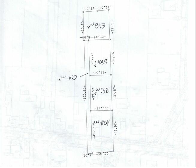
- Pow. działki:1048 m2
- Rodzaj działki:Budowlana
- Sprzedaż:Bez pośredników
- Cena: 350 000 zł / 334 zł/m2
Opis oferty
Działka budowlana o powierzchni 1048 m2 (848m2 + 200m2 udział w drodze prywatnej).Ostatnia działka od drogi asfaltowej - najbardziej zbliżona jest do kwadratu co podwyższa jej wartość, o wymiarach 31,68x27,46m. nr. ewidencyjny 40/4.
Działka położona jest w otulinie Puszczy Kampinoskiej w odległości ok. 10 km do Nowego Dworu Mazowieckiego oraz ok. 18 km do Warszawy.
Dojazd do działeki wspólną drogą prywatną dedykowaną tylko do tych 3 działek.
Okolica cicha, spokojna z dobrym dojazdem do miasta linia ZTM-755 do Wa-wy. W około inne działki i posesje zabudowane domami wolno stojącymi i zabudowaniami gospodarczymi.
Działka położona w odległości ok. 300 m od linii lasu.
Wszystkie media w drodze asfaltowej do przyłączenia.
Teren płaski , niezabudowany.
Ta nieruchomość to nie tylko miejsce na wymarzony dom, ale również solidna inwestycja w przyszłość. Nie przegap okazji, aby stać się częścią prężnie rozwijającej się społeczności w Czosnów, Małocice. Zapraszam do kontaktu i na prezentację działki!
Sprawdź zainteresowanie tym ogłoszeniem
Wyświetlenia
Data dodania
Ostatnio widziany
Obserwujących
Wysłane zapytania
Odsłony telefonu
Mirek
Konto prywatne
Na Lento.pl od 02 sty 2014
Strona użytkownika
- Wypromuj ogłoszenie
- Zgłoś naruszenie
- Drukuj ulotkę
- Edytuj/usuń ogłoszenie
- Udostępnij ogłoszenie
- Dodaj na Facebook
































